Девять веков юга Москвы. Между Филями и Братеевом, стр. 87
Этот план, составленный исполняющим обязанности уездного землемера инженером Иваном Взоровым, сохранился в Центральном историческом архиве Москвы. Землемер указал тот же состав удобной земли, что приведен выше, и детально промерил неудобную (для земледелия) землю: под улицами и проселочными дорогами – 6 десятин 1645 кв. сажен, под большими дорогами – 7 десятин 1200 кв. сажен, под оврагами и рытвинами – 1 десятина 1300 кв. сажен, под прудами – 2312 кв. сажен.
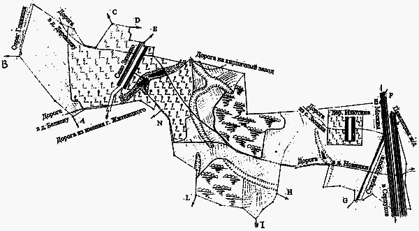
Посмотрите на прилагаемый план земли Зюзинского сельского общества, составленный в 1903 г. Если сравнить его с опубликованным ранее планом села Зюзина, видно, как увеличились крестьянские сады у села Зюзина, примыкавшие непосредственно к крестьянским дворам, разместившимся по обе стороны улицы.

1903 г. Крестьянский надел Зюзинского сельского общества. Выкопировка из планов Генерального межевания дач села Зюзина, Борисоглебское тож, и деревни Изютиной, Волхонка тож, на крестьянский надел вышеупомянутых села и деревни; отграничение производил и план составил 17 июня 1903 г. и.о. уездного землемера инженер И. Взоров.
Видны два пруда в овраге у села. Один из них – Средний пруд, тот, что сейчас находится на Керченской улице у поликлиники № 33. У деревни Изютиной (Волхонка) тоже были небольшие приусадебные сады и прудец в овраге неподалеку. Но основное достоинство изютинских земель – отличная пашня. Между селениями обозначена полоса леса между пашнями, но в описании сообщается, что лес вырублен, поредел и используется на сенокос.
Отмечена и дорога на кирпичный завод, который находился за Волконским оврагом на землях сельца Изютина. Это был тот самый завод, который построил Д.А. Романов в 1888 г., где трудилось 150 рабочих. Как правило, это был приезжий люд, и для них Романов построил каменную казарму. Но не исключено, что и постоянные жители занимались сезонной работой на заводе.
Как обычно, показаны на плане и смежные владения – уникальные штрихи времени, не встречаемые мною до сих пор. AB – отхожая пустошь Боташова, владение крестьян деревень Деревлевой и Беляевой; B–C – владения акционерного общества кирпичного завода, бывшего Яснова (дер. Новоселок); C–D – владения причта церкви при с. Зюзине; D–E – занадельная земля статского советника г-на А.А. Воздвиженского; E–F – занадельная земля наследников господ Романовых; F–G – владения крестьян деревни Новинки; G–H – владения крестьян деревни Нижних Котлов; H–J – владения крестьян деревни Ногатиной; J–L – пустоши без названия и Гридина, владения крестьян села Конькова; L–N – владения инженера титулярного советника г-на А.И. Антоновича; N–A – имения коллежского секретаря г-на И.И. Житницкого, два последние относятся к сельцу Маркову.
Кстати, по данным окладной земской книги 1902 г., в селе Зюзине имел владения не только Воздвиженский (дом и 1 дес. 893 сажени), но и еще три значительных лица: дворяне Андреевы Николай Аркадьевич (дом и 13,3 дес.) и Сергей Аркадьевич (13,4 дес.) и гвардии полковник Шестаков Валериан Николаевич [658].

Ремонтные работы на железной дороге
Шестаков с 1885 г. снимал в аренду 1 десятину церковной земли на 12 лет за 25 руб. серебром ежегодно в пользу причта села Зюзина. Контракт на аренду был заключен и вторично, в 1898 г., на тех же условиях. По контракту он имел право возвести на арендуемой земле строение, развести сад и огород, даже продать строение с правом аренды, но по окончании аренды все снести [659].
Земли крестьянского общества протянулись до Серпуховской дороги, которая у сельца Изютина отходила по новой трассе, параллельно проложенной Павелецкой железной дороге. Для ее прокладки, по постановлению Управления № 274 от 13.12.1903, из земель Зюзинского сельского общества было отчуждено 5,5 десятины. Аналогичное отчуждение произошло и с соседними селениями, по которым прошла эта железная дорога: д. Верхние Котлы (5,5 дес. – 1901 г.), д. Котлякова (15,2 дес. – 1903 г.), д. Чертанова (0,6 дес. – 1909 г.), с. Покровское-Городня и Покровские выселки (34,8 дес. – 1906 г.) [660]. В связи с этим в Зюзинском сельском обществе на 1908 г. значилось уже 291 десятина удобной земли, облагаемой земскими сборами. Соответственно снизились земские сборы с крестьян.
Портреты семей во времени
Зюзинское сельское общество, получившее во владение крестьянские наделы в 1861 г., сложилось из крестьян села Борисовское, Зюзино тож, и деревни Изютиной, Волхонка тож. В XX в. у села употреблялось только одно название – Зюзино, а у деревни только второе – Волхонка, первое забыли даже жители обоих населенных пунктов. Впредь так и буду звать – привычными для XX в. названиями. Что за семьи здесь жили, можно представить по Подворной переписи 1869 г., оказавшейся последним документом, столь подробно описывавшим все семьи и села, и деревни. В Зюзине было 66 дворов, а в Волхонке – 9 дворов.
Чтобы понять, как и когда образовались в Зюзине крестьянские фамилии, как они видоизменялись во времени, я проштудировала все найденные мною переписи, где записаны поименно все жители селения, начиная с самых ранних сохранившихся писцовых книг (1627– 1629 гг.). Тут и отказные книги 1634 г., 1644 г., 1646 г., 1666 г., 1684 г., 1721 г.; и переписные книги 1704 г., 1709 г., 1710 г., 1718 и 1719 гг.; и ревизские сказки 1-й ревизии (1723–1724), 2-й (1748) (сказок 3-й и 4-й ревизий не нашла), 5-й (1795), 6-й (1811), 7-й (1816), 8-й (1834), 9-й (1850), 10-й (1858); и Подворная перепись 1869–1871 гг., а также все метрические книги с 1777 г.; и исповедные книги с 1740 по 1918 г., кроме тех, что архив, к сожалению, не выдал из-за ветхости. И хоть указания возраста жителей в этих документах нередко не совпадали (ведь годы записывали со слов, никаких документов об этом не существовало), но все же по ним можно было найти точную линию развития родословной.
Несомненно, эти владельцы, хоть они и низкого происхождения, достойны подробного описания. Ведь их руками созданы все те богатства, которыми владели их господа, а теперь и они сами. Поэтому, задумав изначально написать крестьянские родословные села Зюзина, я решила не перечислять поколенные росписи всех фамилий, хотя собранные материалы позволяют это сделать. Наверное, я это сделаю позже, в отдельной книге. Ведь в поколенной росписи не передашь все те эпизоды и случаи, которые удалось обнаружить в различных документах, все те повороты судеб, которые удалось прояснить, сопоставив и проанализировав различные источники.
Наберись терпения, читатель: дворов много, за двести с лишним лет на месте 6 дворов образовалось 66, семьи разрастались, пересекались, плодились и угасали; фамилии возникали с новыми прозвищами или возрождались по старым прозваниям. Процесс формирования фамилий происходил, не прерываясь, весь рассматриваемый в этой главе период – с 1627 по 1869, а затем и по 1962 г.
Постараюсь подробнее рассказать обо все тех семьях, которые сложились ко времени Подворной переписи 1869–1871 гг. (далее Переписи 1869 г.) и которым были выданы крестьянские наделы. Коснусь только села Зюзина, так как жители деревни Волхонки появились в переписях по зюзинскому имению только с 6-й ревизии, после приобретения деревни в начале 1811 г. И.И. Бекетовой, и были записаны в 6-й ревизии (1811 г.). А линии отдельных фамилий села прослеживаются начиная с самых давних переписей – 1627–1629 гг.
В 1-м дворе жил Михаил Андреев Лудилкин, 43 лет, с женой и детьми. На дворе был каменный дом в первом ряду и деревянный – во втором ряду, позади каменного. Этот обычай строить дома для семей подрастающих сыновей во втором, а то и в третьем ряду существовал в селе издавна. А первые по перечню переписи дома находились на самой древней части улицы.
658
ЦИАМ, ф. 11, оп. 5, д. 205, л. 66.
659
ЦИАМ, ф. 203, оп. 682, д. 170, л. 6.
660
ЦИАМ, ф. 11, оп. 4, д. 482, лл. 7об.–8.