Очерки истории чумы (фрагменты), стр. 131
После получения в НИИЭГ стрептомицина, и имея лишь одно указание в советской литературе о бактерицидном действии стрептомицина на возбудитель чумы в условия in vitro, Н.И. Николаев и Г.А. Радовиц-кий приступили к изучению его действия при экспериментальной чуме, вызванной подкожным и аэрогенным заражением животных.
Ими обнаружено, что аэрогенно инфицированные морские свинки, вдохнувшие 250–500 клеток вирулентного штамма Y. pestis, минимальная летальная доза (DLM) которого составляет при подкожном заражении всего 6 клеток, остаются в живых, даже если лечение началось через сутки после заражения; и 2/3 из них выживают, если лечение начато уже при развившейся легочной чуме (на 2-е сутки после инфицирования). Нелеченные животные контрольных групп погибали все. Результаты этих и многих других экспериментов, проведенных специалистами НИИЭГ, показали эффективность стрептомицина при лечении экспериментальной чумы.
В августе 1947 г. стрептомицин впервые в мире был применен подполковником Н.И. Николаевым и гражданскими врачами Д.А. Федориновым и В.И. Гороховым для лечения больных чумой в маньчжурском очаге чумы. Сопоставляя собственные результаты лечения с теми, которые были получены на группах больных, леченных сульфаниламидами и сывороткой, специалисты НИИЭГ установили, что стрептомицин изменяет терапию чумы: течение болезни резко меняется и процесс выздоровления принципиально отличается от такового при лечении всеми до сих пор применявшимися средствами.
При лечении стрептомицином больных с тяжелыми формами бубонной чумы в течение 2–3 дней и даже одних суток (один случай), температура у них понижалась, общее состояние больных быстро улучшалось. Больные буквально преображались на глазах у врачей. С началом лечения стрептомицином приостанавливалось развитие бубонов.
При лечении бубонной чумы сульфаниламидными препаратами, которые применялись в огромных дозах (до 40–150 граммов на курс лечения), а также комбинацией сульфаниламидных препаратов с противочумной сывороткой и метиленовой синькой по схеме института «Микроб» (г. Саратов), процесс выздоровления больных, как правило, шел медленно. Состояние больных то улучшалось, то ухудшалось, в течение длительного времени жизнь больных «висела как бы на волоске», смертность составляла 24%.
При лечении стрептомицином отмечалось, по сути, абортивное действие препарата на течение инфекции — все больные выжили. В этом заключалось основное отличие действия стрептомицина при чуме от действия препаратов сульфаниламидной группы и противочумной сыворотки, установленное исследователями НИИЭГ.
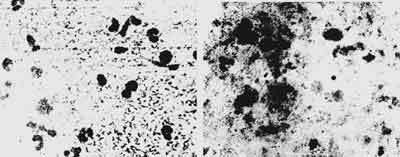
Положительные результаты были достигнуты и при лечении стрептомицином больного с подтвержденной бактериологическим методом легочной формой чумы. Больного начали лечить через сутки после начала болезни, когда его считали уже безнадежным. Мокрота больного в течение 2-х суток освободилась от чумных палочек. Температура снизилась в течение 3-х суток. В результате применения стрептомицина больной выжил (рис. 127).
Одновременно Н.И. Николаевым выяснено, что некоторые люди, выздоравливающие от легочной чумы, остаются бациллоносителями. Поэтому им были разработаны детальные рекомендации по схемам лечения больных чумой стрептомицином. В 1947 г. (!) стрептомицин приказом Минздрава СССР был включен в табель медикаментов для противочумных отрядов. Впоследствии результаты НИИЭГ были независимо воспроизведены учеными разных стран, и как-то незаметно забылось, кто же первый достиг перелома в борьбе с чумой. Впрочем, это никогда не афишировалось в СССР.

127. Результаты лечения стрептомицином больного с легочной чумой: слева — до лечения — в мазке мокроты много биполярно окрашенных чумных палочек; справа — через двое суток лечения — в мазке из мокроты фрагменты разрушенных клеток чумного микроба (Николаев Н.И., I949)
«После чумы». Как реликт «хавкинской эпохи» убитых вакцин в вакцинопрофилактике чумы сегодня еще находит спрос американская «формоловая» вакцина USF, но она не защищает от аэрогенного инфицирования возбудителем чумы, схема иммунизации людей этой вакциной слишком сложна, поэтому ее применение ограничено странами, где запрещены живые вакцины. Живые вакцины с 1940-х гг. остались основным средством специфической профилактики чумы у населения, живущего в природных очагах. Однако массовой вакцинации населения ими сегодня стремятся избегать, обосновывая это в каждом конкретном случае, весьма аргументированно.
Противочумные сыворотки достигли предела в своем развитии в 1960-х гг. как специфические гамма-глобулины, но потом о них прочно забыли — ученым окончательно стало ясно, что гуморальный фактор в иммунитете против чумы значения не играет. Про метиленовую синьку забыли сразу же после того, как появился стрептомицин. Сульфаниламидные препараты в настоящее время рекомендуются только для лечения бубонной чумы и только в тех случаях, когда отсутствуют антибиотики. При этом Комитетом экспертов ВОЗ по чуме рекомендуется соблюдать меры предосторожности в их применении, назначая 3–4 грамма бикарбоната натрия при каждом приеме сульфаниламидов. Основным средством лечения чумы сегодня являются антибиотики, но среди них на первом месте, по-прежнему стоит стрептомицин. При повышенной чувствительности больного к стрептомицину, его заменяют тетрациклином. При чумном менингите применяют хлорамфеникол (левомицетин), который легко проникает через гематоэнцефалический барьер. Основные подходы к лечению и к специфической профилактике чумы, разработанные учеными НИИЭГ в 1940—1947 гг., сохраняются и сегодня.
Предисловие к двухтомному изданию
http://www.newdoctor.ru/may10_48.htm
"Первыми появлялись зловонное дыхание и рожистая грязновато-синеватая краснота языка и полости рта. Больные мучились от внутреннего жара. На 7-10 день болезни наиболее выраженным клиническим симптомом был понос. В начале эпидемии испражнения при поносе были красного или желтого цвета, в дальнейшем у многих больных при поносе выделялись черные испражнения. У части больных испражнения сопровождались мучительными тенезмами, у других же испражнения были совершенно безболезненными. Заболевание сопровождалось высыпанием на коже черной сыпи, у большинства заболевших людей гнойничкового характера, но у всех сухой — из гнойничков жидкости не выделялось..." Таковы, согласно описаниям великого древнеримского врача Галена, клинические признаки моровой язвы Антонина, вспыхнувшей в Сирии в 165 году. Впрочем, ученые до сих пор спорят — была ли это чума или еще какая-то неизвестная зараза.
Действительно первой, исторически доказанной эпидемией чумы (531-589 гг.), охватившей Европу, считается чума Юстиниана — по имени правившего в тот период императора Восточной Римской империи. Общее число погибших, по некоторым оценкам, составило за полстолетия 100 млн. человек.
Тридцать семь очерков, собранных в этом двухтомнике (в первом томе — чума добактериологического периода, т.е. от основания мира до конца XIX века; во втором — бактериологического периода: с конца XIX века до наших дней), посвященных конкретным эпидемиям, изобилуют еще и не такими натуралистическими описаниями. Как ни странно, это первое на русском языке систематизированное изложение истории загадочного природного явления, с глубокой древности называемого "чумой".
Предыстория данной конкретной эпидемии, ее ход, клиника, лечение и патанатомия болезни, противоэпидемические мероприятия — все это присутствует в каждом из очерков... Однако читать это нам, потенциальным жертвам чумного возбудителя (по латыни — Y. pestis), было бы просто скучно. И все же, начав даже просто перелистывать "Очерки", ловишь себя на мысли, что трудно отложить книгу в сторону.